DNG Pierce Properties are delighted to offer this terrific c1.2 Acres Site For Sale By Private Trea...
Description & Accommodation
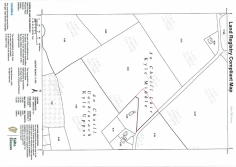
Level 1.1 acre site with excellent road frontage and great views in this most sought-after residential location.
Conventiently located, only 10 minutes’ drive from the M11 at Oilgate and 10 minutes’ drive from Wexford Town.
Excellent village amenities including shops, church and primary schools are available in the nearby villages of Crossabeg c. 5 minutes’ drive and Glynn c. 10 minutes' drive from the property.
Offered for sale subject to the purchaser obtaining planning permission for one dwelling house with mains electricity and mains water available on the public road. Local need rules apply.
Find out how much you will have to pay by using our Stamp Duty Calculator.
Stamp Duty: €1,000
You have to pay stamp duty:1% between €0 and €100,000Your effective stamp duty rate is 1%.







