We are pleased to introduce Horizon House to the open market—a charming and fully refurbished one-be...
Description & Accommodation
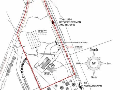
DNG Boyce Gallagher are delighted to present to market this excellent 1.16 acre site.
Located in the peaceful townland of Carrownasaul, planning permission has been granted for a four bedroom dwelling house in 2022.
Located within folio DL57265F, GPS Coordinates 55.0642, -7.7774.
For further information please contact sole selling agents DNG Boyce Gallagher






